Edit a Product Version¶
1. 👆 Navigate to Products 👉 Select the product of interest from the list.¶

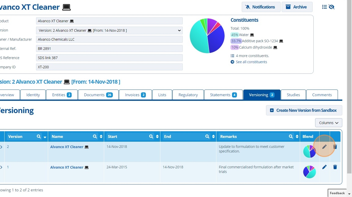
2. 👆 Navigate to the Versioning Tab.¶

3. 👆 Click on the ✏️ icon to edit a version.¶

4. ✍️ Make changes in the form. The product formulation, the Version Name, the Remarks section and the Start/End Dates can be edited.¶
👆 Click on the fields in the table and ✍️ enter a new value to edit the constituent percentages.

5. Other constituents can be added to the formulation by 👆 clicking the "Add Constituent" button.¶
👆 Click the trash icon to remove constituents from the formulation.

Tip
The formulation of downstream constituents can also be edited.

6. 👆 Click "SAVE".¶

7. 🥳 The product version now reflects the changes made.¶
